fbpx Skip to content

22 Hawkins Street

East Bunbury WA 6230

Contact Agent

Solid Commercial Property Investment with Plenty Of Upside.

This property offers a solid investment opportunity and is situated in a high traffic flow area in East Bunbury and is close to major shopping centers, the Bunbury train station, other well recognized brand businesses, and is only minutes from the city center.

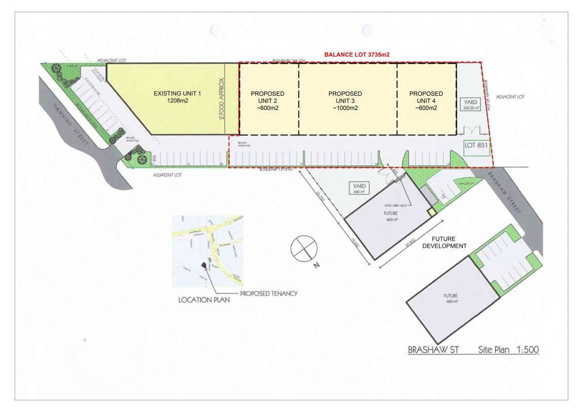
The existing property is a tilt panel and iron constructed building and is 1208m2 in size and part of a total land size of 6188m2. (see the attached floorplan)

There is great development potential with this property, with 3735m2 of prime commercial land at the rear of the existing building that can be developed into additional tenancies and produce a stronger yield on your investment and lift the property to its highest and best use. ( Subject to City of Bunbury Approvals)

The property is leased by a long term quality tenant until January 2029, with a further options in place until 2036 and fixed rental increases of 4% annually, which provides a strong return on your investment.

+ Existing Tenancy 1208m2
+ Development Opportunity
+ Balance Of Land 3735m2
+ Total Land Holding 6188m2
+ Strong Long Term Lease In Place
+ 4% Rental Increases Annually
+ For GST Purposes This Property Will Be Sold As A Going Concern

Call or email me for a full IM on this property.



** Buyers note 1: The owners are selling the established building & vacant land only (as a going concern) & buyers should do their own Due Diligence, Investigations & Enquiries on the property prior to entering into a contract to purchase. If any portion of the Sale is determined to be subject to GST the buyer will be responsible for payment of any GST payable.

** Buyers Note 2: All measurements/dollar amounts are approximate only. Boundaries marked on images are a guideline and are for visual purposes only. Buyers should complete their own due diligence, including checking with local authorities regarding the property use and zoning. Buyers should also do a visual inspection of the property before entering into an offer/contract & should not rely on the photos or text in this advertising in making a purchasing decision.

Features

General Features

  • Land Area: 6,188sqm
  • Commercial Type: Land/Development
  • Building Area: 1,208sqm

Can I afford 22 Hawkins Street?

Whether you’re a first-time buyer, looking for your next home, or considering upgrading or downgrading, Elders Finance can unlock the doors to the right finance option for you and get you into the home of your dreams.

Calculators

Elders Real Estate South West

Enquire about 22 Hawkins Street, East Bunbury, WA, 6230

Property guides and resources

Finding a Pet Friendly Rental in 2026: What Renters Need to Know

For many Australians, pets are no longer simply animals that live at…
Read more

The 2026 Budget and Regional Commercial Property: Where The Real Shift Lands

The 2026 Federal Budget has been read, fairly, as a residential housing…
Read more

Federal Budget 2026–27: What It Means for Property Owners, Renters and Investors

The 2026–27 Federal Budget introduces a range of changes to Australia’s property…
Read more